Saveitforparts
Now with last year's hot technology!
Home
About
Alaska’s Forgotten Railroads – Documents
Funter Bay History
Photos
Projects
Lesser Known and Obscure Railroads of Alaska
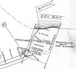
» khayyam tram terminal
Leave a comment
Cancel reply
Δ
Search
Navigation Menu
Home
About
Funter Bay History
Photos
Projects
Monorail
Lesser Known and Obscure Railroads of Alaska
Sitka Military History
Pagoo
Macquarium
Plywood Kayaks
Tags
3G
Admiralty Island
Advanced Disposal
aerial
aerial photo
airboat
Alaska
Alaska Life
Aleut
Artifacts
boat
Boats
bootlegging
Cannery
cell
cellular
congress
copyright
Corsehero
data
database scraping
Deer
diy
Dredge
evacuation
Fairbanks
fish
fishing
Fish Trap
Funter Bay
Funter Bay History
garden
Gold
Gold Dredge
History
homemade
internment
locomotive
lumber
map
Mine
Mining
Minnesota
Minnesota zoo
monorail
moonshine
mystery charges
Pond
radio
railroad
Redneck
repair
ripoff
roof
salmon
satellite
scam
scraping
Southeast Alaska
space
St. Paul
steam
Steam donkey
steamship
T-mobile
thlinket packing
tlingit
tracks
train
tram
tramway
unsolicited
Veolia
WWII
zoo
Subscribe
Subscribed
Saveitforparts
Join 56 other subscribers
Sign me up
Already have a WordPress.com account?
Log in now.
Saveitforparts
Subscribe
Subscribed
Sign up
Log in
Copy shortlink
Report this content
View post in Reader
Manage subscriptions
Collapse this bar